0 Hwy 395, Alturas, CA, 91601
0 Hwy 395Alturas, CA 91601




Mortgage Calculator
Monthly Payment (Est.)
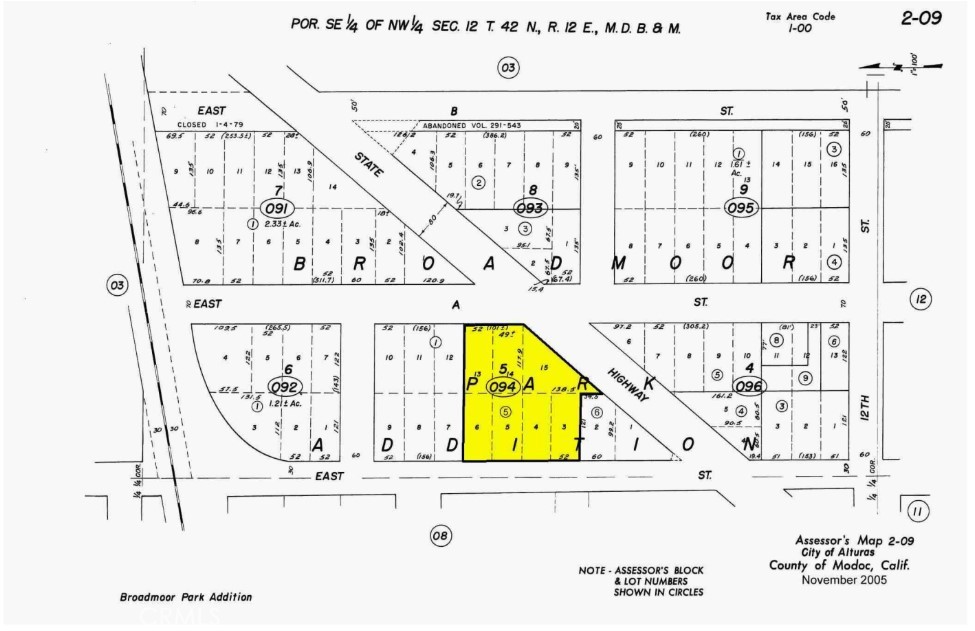
$87Prime commercial land offering outstanding development potential under COML ACG zoning. This expansive 42,685 sq ft / .98 Acres parcel provides exceptional space for a wide range of commercial, retail, and general commercial uses (buyer to verify permitted uses with the local planning department). The property offers an excellent opportunity for investors, developers, or business owners seeking a well-located site suitable for new commercial construction. With strong visibility, flexible zoning, and ample room for creative development, this parcel is ideal for projects such as retail centers, office buildings, mixed commercial use, or specialty commercial concepts. Whether you're expanding an existing business or looking to build a new income-producing asset, this land offers the size, space, and flexibility to bring your vision to life.
| 10 hours ago | Listing first seen on site | |
| 10 hours ago | Listing updated with changes from the MLS® |
This information is for your personal, non-commercial use and may not be used for any purpose other than to identify prospective properties you may be interested in purchasing. The display of MLS data is usually deemed reliable but is NOT guaranteed accurate by the MLS. Buyers are responsible for verifying the accuracy of all information and should investigate the data themselves or retain appropriate professionals. Information from sources other than the Listing Agent may have been included in the MLS data. Unless otherwise specified in writing, the Broker/Agent has not and will not verify any information obtained from other sources. The Broker/Agent providing the information contained herein may or may not have been the Listing and/or Selling Agent.


Did you know? You can invite friends and family to your search. They can join your search, rate and discuss listings with you.