0 E Francis St, Ontario, CA, 91761
0 E Francis StOntario, CA 91761




Mortgage Calculator
Monthly Payment (Est.)
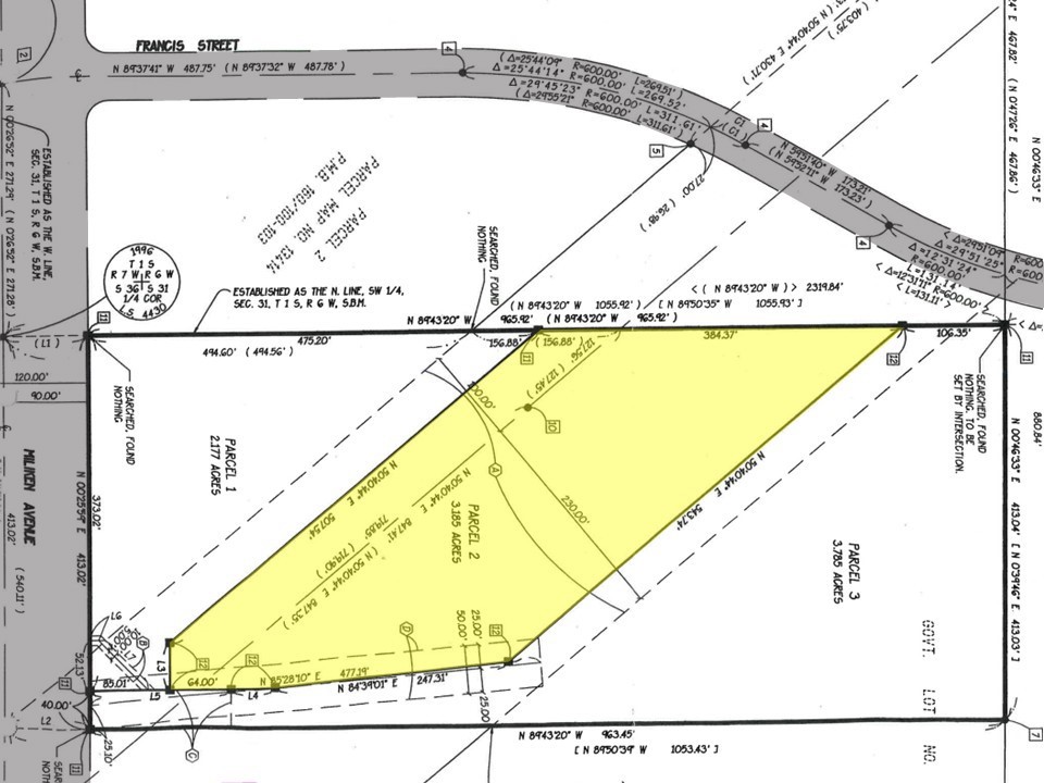
$3,536The subject property is a ±3.18 acre parcel of land (APN #0238-152-02) located just southeast of the intersection of E. Francis Street and Milliken Avenue in the city of Ontario. This entire property is subject to an easement with Southern California Edison that is due to overhead high voltage transmission lines. There is a Verizon Wireless cell site on the subject property, Verizon has been a tenant since 2004. The newest Verizon lease started on April 1, 2024 and runs for 5 years. Verizon also has three 5-year extensions. The current income from this lease is $2,575 per month ($30,900 annually) with rent increases of 3% yearly. Verizon Wireless is also responsible for complying with the Brush Code requirements and clearing any overgrown brush at the property twice a year at their sole cost and expense. Zoning on this property is UC (Utilities Corridor) which was established to accommodate flood control channels, retention and detention basins, electrical transmission corridors and landfills. The UC zoning district is consistent with, and implements, the Open Space-Nonrecreational land use designation of the Policy Plan component of The Ontario Plan. The allowable and permitted uses for the subject site are primarily various agriculture uses, utilities and telecommunications uses.
| a month ago | Listing first seen on site | |
| a month ago | Listing updated with changes from the MLS® |
This information is for your personal, non-commercial use and may not be used for any purpose other than to identify prospective properties you may be interested in purchasing. The display of MLS data is usually deemed reliable but is NOT guaranteed accurate by the MLS. Buyers are responsible for verifying the accuracy of all information and should investigate the data themselves or retain appropriate professionals. Information from sources other than the Listing Agent may have been included in the MLS data. Unless otherwise specified in writing, the Broker/Agent has not and will not verify any information obtained from other sources. The Broker/Agent providing the information contained herein may or may not have been the Listing and/or Selling Agent.
Did you know? You can invite friends and family to your search. They can join your search, rate and discuss listings with you.